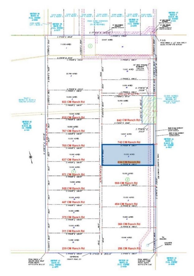
15 Acres of raw land that can be subdivided at request. The owner can do a build-to-suit or stabilize and secure land for lay-down yards. Amenities are available at tenant request, including power, utilities, fencing, rock surface, and yard lighting.
PROPERTY DESCRIPTION
This ±15-acre tract offers a highly flexible opportunity for industrial users seeking lay-down yard space or a custom build-to-suit solution. The site can be subdivided to meet tenant requirements, allowing for scalable configurations based on operational needs.
Ownership is prepared to accommodate a range of improvements at the tenant’s request, including power, water, septic, security fencing, rock surface, and yard lighting. Alternatively, the land can be stabilized and secured for immediate lay-down use, making it well-suited for equipment storage, contractor yards, or staging operations.
This property presents a rare chance to secure adaptable industrial acreage with the ability to tailor infrastructure and improvements to fit specific use cases and growth plans.
PROPERTY LOCATION
This proper ty is located 4 miles west of Pecos and approximately 2.8 miles south of I-20 on the west side of FM 869. FM 869 provides easy access to I-20, which travels through the Delaware Basin.



